الجريدة الرسمية تنشر قرار رئيس الوزراء بشأن نزع ملكية العقارات للمنفعة العامة
نشرت الجريدة الرسمية، في عددها الصادر اليوم الثلاثاء، قرار رئيس مجلس الوزراء، بشأن نزع ملكية العقارات للمنفعة العامة.







جاء القرار بعد الاطلاع على الدستور، وعلى قانون نظام الإدارة المحلية الصادر بالقانون رقم 43 لسنة 1979 ولائحته التنفيذية، وعلى القانون رقم 10 لسنة 1990، بشأن نزع ملكية العقارات للمنفعة العامة ولائحته التنفيذية، وعلى قرار رئيس الجمهورية رقم 279 لسنة 2018 بالتفويض في بعض الاختصاصات، وقرار رئيس مجلس الوزراء رقم 16 لسنة 2022، بإضافة أغراض تأمين وحماية المناطق والمباني والمنشآت الحيوية إلى أعمال المنفعة العامة، وبناءً على ما عرضه رئيس ديوان رئيس الجمهورية.
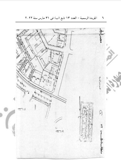
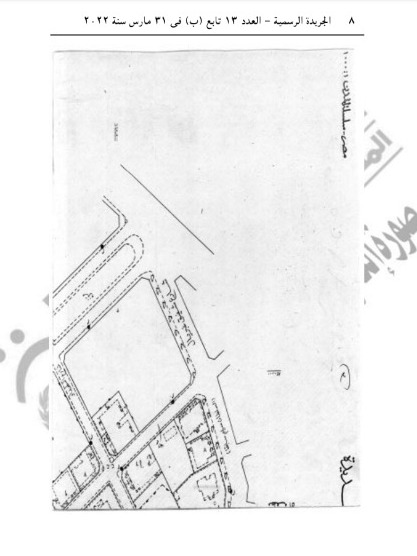
ونصت المادة الأولى: أن أعمال المنفعة العامة - نزع ملكية العقار رقم 21 شارع إبراهيم اللقاني محافظة القاهرة.
ونصت المادة الثانية: يستولى بطريق التنفيذ المباشر على كامل أرض ومباني العقار المشار إليه في المادة السابقة، والمُبين موقعه وحدوده وأسماء مُلاكه الظاهرين بالمذكرة، والرسم التخطيطي الإجمالي والكشف المرفقين.


