قمر صناعي يلتقط صور مذهلة لإعصار إيان المدمر قبل ضربه ولاية فلوريدا
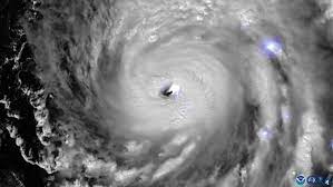
التقط القمر الصناعي التابع لإدارة الوطنية الأمريكية للمحيطات والغلاف الجوي صورًا مذهلة لإعصار إيان، والذي يهدد ساحل ولاية فلوريدا الأمريكية.
التقاط صور لإعصار إيان المدمر
ونشرت الإدارة الوطنية لـ للمحيطات والغلاف الجوي مقطع فيديو لـ إعصار إيان، ويظهر الفيديو دوامة ضخمة من السحب الرمادية التي تتناثر بشكل دوري، وتم تصوير الفيديو بواسطة Noaa.

ويتم مراقبة الأعاصير المختلفة بواسطة الإدارة الوطنية الأمريكية للمحيطات، حيث يتابع المركز الإعصار إيان باستخدام استطلاع الطائرات والقمر الصناعي البيئي التشغيلي الثابت التابع للإدارة أو بواسطة قمر Goes، الذي يراقب بشكل ثابت شرق الولايات المتحدة والمحيط الأطلسي.
ويحافظ القمر الصناعي Goes-East على موقع ثابت فوق الأرض عند خط طول 75.2 درجة غربًا من خلال الطيران في مدار متزامن مع الأرض على ارتفاع 22300 ميل فوق الأرض، بحيث يدور القمر الصناعي حول الأرض بنفس السرعة التي يدور بها الكوكب حول محوره.
ومن المتوقع، أن تتراوح رياح الفئة الرابعة من 130 إلى 156 ميلًا في الساعة وستحدث تلك الرياح أضرارًا كارثية، وذلك وفقًا لموقع Noaa الإلكتروني.
ناسا تؤجل عملية إطلاق صاروخ أرتميس 1 بسبب إعصار إيان
وفي وقت سابق، قرر فريق وكالة ناسا الفضائية بالأمس، بعد عقد اجتماع تخطيطي تأجيل محاولة الإطلاق صاروخ أرتيمس 1، وذلك بسبب هبوب إعصار إيان على ولاية فلوريدا، وتعد تلك المرة الثالثة التي تؤجل فيها ناسا عملية إطلاق الصاروخ.


