إجلاء نحو 800 ألف شخص وإغلاق الشركات.. الصين تستعد لاستقبال إعصار ساولا
ألغت هونج كونج، مئات الرحلات الجوية وأجلت ما يقرب من 800 ألف شخص، مع تسبب الوصول الوشيك للإعصار ساولا في إغلاق الشركات والمدارس والأسواق المالية.
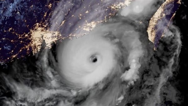
وحذرت السلطات من أن الإعصار الهائل المحمل برياح تبلغ سرعتها نحو 200 كيلومتر في الساعة، قد يصل إلى اليابسة في وقت متأخر من اليوم الجمعة أو في وقت مبكر من يوم السبت في قوانجدونج، وهو من بين أقوى خمسة إعصارات تضرب المقاطعة المكتظة بالسكان منذ عام 1949.
وفي أنحاء قوانجدونج، تم إجلاء 785155 شخصا من المناطق شديدة الخطورة، بينما أخرت 13 مدينة بدء الفصل الدراسي يوم الجمعة بعد العطلة الصيفية، وفي هونج كونج تقطعت السبل بأكثر من 300 شخص في المطار بسبب إلغاء نحو 460 رحلة طيران، فيما رفعت المدينة التي يبلغ عدد سكانها 7.5 مليون نسمة التحذير من الإعصار إلى أعلى مستوى.
وصول الإعصار إلى اليابسة
وقال مسؤولو الأرصاد الجوية في هونج كونج إن الطقس سيتدهور سريعا، مع وصول الإعصار إلى اليابسة، حيث سترتفع أمواج العواصف بنحو ثلاثة أمتار أعلى من المد الطبيعي وتصل مستويات المياه القصوى إلى مستوى قياسي.
وقالت سلطات الأرصاد الجوية في الصين إن الإعصار قد يصل إلى اليابسة على طول الساحل بين مدينتي هويدونج وتايشان، وتقع هونغ كونغ وماكاو في وسط هذا الامتداد.
وساولا هو أحد الأعاصير المدارية الثلاثة التي تشكلت في شمال غرب المحيط الهادئ وبحر الصين الجنوبي.


