الأحد 07 ديسمبر 2025
More forecasts:
Wetter 4 wochen
facebook
twitter
youtube
instagram
Threads
rss feed
رئيس التحرير
محمود المملوك
رئيس التحرير
محمود المملوك
الرئيسية
أخبار
حوادث
اقتصاد
فن
رياضة
سياسة
محافظات
ثقافة
مقالات
المزيد
البحث
أخبار
حوادث
رياضة
فن
سياسة
اقتصاد
محافظات
الرئيسية
وصول الإعصار إلى اليابسة
وصول الإعصار إلى اليابسة
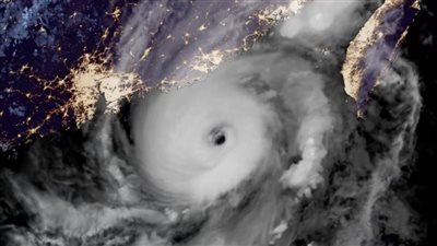
إجلاء نحو 800 ألف شخص وإغلاق الشركات.. الصين تستعد لاستقبال إعصار ساولا
الجمعة 01/09/2023 06:20 م
برق ورعد.. تقلبات جوية تضرب شرم الشيخ ومدن جنوب سيناء | بث مباشر
12:49 ص
شك في سلوكها.. تفاصيل ضبط المتهم بإنهاء حياة زوجته بالمنوفية | بث مباشر
12:03 ص
دفاع المتهم الرابع بقضية رمضان صبحي: موكلي ليس له صلة ولم يثبت له علاقة بالمتهمين | بث مباشر
11:04 م
المزيد من
الأكثر مشاهدة
منتخب العراق يتأهل إلى ربع نهائي كأس العرب بعد الفوز على السودان بنتيجة 2-0
نتيجة مباراة مصر والإمارات في كأس العرب.. التعادل السلبي يحسم الشوط الأول
مجانا.. مشاهدة مباراة الإمارات ومصر بث مباشر والقنوات الناقلة في كأس العرب
لقاء ناري.. مشاهدة مباراة الجزائر والبحرين بث مباشر والقنوات الناقلة في كأس العرب
مجموعة مصر| الأردن يضرب الكويت بثلاثية ويتأهل إلى ربع نهائي كأس العرب
موعد برنامج دولة التلاوة والقنوات الناقلة.. شاهد حلقة اليوم في هذه الأوقات
مشاهدة مباراة برشلونة وريال بيتيس بث مباشر والقنوات الناقلة في الدوري الإسباني
قمة نارية.. مشاهدة بث مباشر مباراة المغرب وعمان اليوم في كأس العرب عبر القنوات الناقلة
الرئيسية
أخبار
حوادث
اقتصاد
فن
رياضة
سياسة
محافظات
ثقافة
مقالات
فيديو
صحة وطب
البومات الصور
تقارير وتحقيقات
كايرو لايت
دين وفتوى
تعليم
سيارات
خدمات
facebook
twitter
youtube
instagram
Threads
rss feed