أمطار ورياح مدمرة| إعصار ضخم في طريقه للتأثير على أوروبا.. ما القصة؟
أصبحت أجزاء من شمال غرب أوروبا في حالة تأهب، مع اقتراب إعصار كيرك، الذي بدأ من المحيط الأطلسي الاستوائي، وذلك وفقًا لما نشر في موقع nypost.
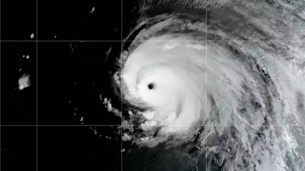
إعصار ضخم في طريقه للتأثير على أوروبا
يحتمل، أن يصل الإعصار كيرك إلى المملكة المتحدة وفرنسا، وسينتج عن الإعصار أمطار غزيرة وعواصف ورياح مدمرة.

وتأثيرات إعصار كيرك، ستبدأ في منتصف الأسبوع مع فقدان نظام العاصفة مصدر الحرارة من المحيط الأطلسي الدافئ ويصبح معروفًا باسم الإعصار ما بعد المداري.

وتشير نماذج التنبؤ إلى أنه من الممكن هطول أمطار تزيد عن خمس بوصات بسبب إعصار كيرك، فضلًا عن هبات الرياح التي تقترب من قوة الإعصار.

وذكرت هيئة الأرصاد الجوية الأيرلندية، وهي الهيئة الوطنية للأرصاد الجوية التي تخدم أيرلندا، أن العاصفة أنتج رياحًا تجاوزت سرعتها 70 ميلًا في الساعة، بالإضافة إلى هطول أمطار غزيرة.
ووفقًا لتنبؤات خبراء الأرصاد، فإن إعصار كيرك قد يتجاوز بعض الأرقام القياسية، التي سجلت خلال السنوات الماضية، حيث تم تصنيف إعصار أوفيليا في عام 2017 على أنه أحد أسوأ العواصف التي أثرت على المملكة المتحدة منذ عقود، حيث تسبب في العديد من الوفيات والأضرار التي بلغت مئات الملايين من الدولارات.


